Hier könnte ein Ein- 2 x DHH – Mehrfamilienhaus oder Reihenhäuser stehen SCHON RESERVIERT!!!

41849 Wassenberg, Wohngrundstück zum Kauf

Referenz

Dieses Objekt wurde bereits erfolgreich vermittelt.

Objekt­beschreibung

Beschreibung

Nach 1.Tag bereits reserviert
Ein gut gelegenes Baugrundstück
Oder wie beschrieben eine KZF Werstatt inkl Büro -Verkaufsraum
Eine Taxicentrale hatte über Jahre hier ihren Platz
Grundstück diente als Parkfläche
Eine Werstatt für Autoreperaturen inkl Fallgrube und Wasseranschluss
Ein Geschäfts-Verkaufsraum
Ein Büro oder Aufenthaltsraum
inkl. Miniküchenecke
Ein WC inkl Waschbecken
Im Aussenbereich gibt es einen Abstellraum
Viele Parkplätze

In der Vergangenheit war über Jahre dort eine Taxicentrale

ODER ABRISS UND ES KANN EIN EINFAMILIENHAUS 2 DHH ODER EIN MEHRFAMILIENHAUS SEINEN PLATZ FINDEN
In der Umgebung sind Ein oder Mehrfamilienhäuser zu finden

Es gibt hier keinen Bebauungsplan
Abriss liegt nach einigen Anfragen zwischen 20000€-26000€
Sollte natürlich selber daran gearbeitet werden kommen wir natürlich weit unter diesen Kosten

Sonstige Informationen

Bei Fragen gerne anrufen
Über Alles kann man sprechen
Erika Ross 01775221021
02432-9290111

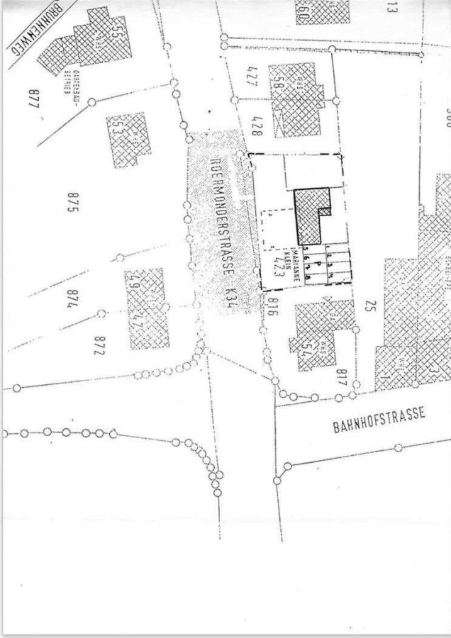
Lage

die Spezialimmobilie ist am Ortsrand von Wassenberg Richtung Birgelen
Sehr gute Infrakstuktur
Neue Mehrfamilienhäuser in gleicher Lage
Gute Situation für Investoren

Die dargestellte Position der Immobilie ist nur eine ungefähre Angabe.

Darstellung der Immobilien mit WP-ImmoMakler und Daten aus